
Inwentaryzacje dendrologiczne
Inwentaryzacje dendrologiczne to zestawienia gatunkowe i ilościowe istniejących drzew i krzewów na opracowywanym terenie w formie tabeli, która zawiera również skrócony opis kondycji drzew.
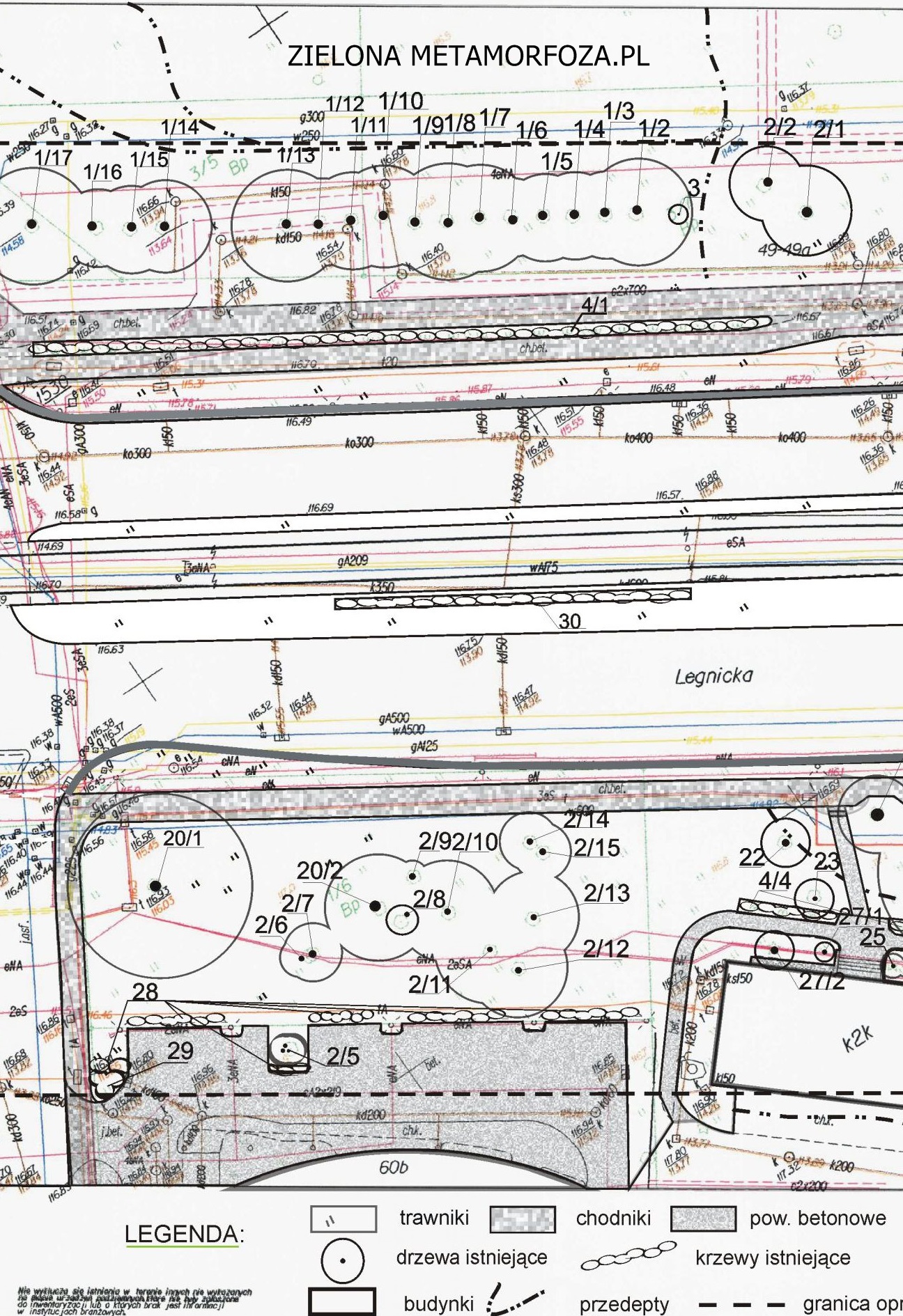
Do tabelarycznego wykazu dołączona jest mapa w skali z lokalizacją drzew i krzewów ( część graficzna).
Zestawienie stanowi podstawę do dalszych prac projektowych, koncepcyjnych i ewentualnych wycinek oraz uzgodnień w urzędach.
Wykonujemy inwentaryzację drzew w stanie ulistnionym jak i bezlistnym dla osób prywatnych, biur projektowych, inwestorów, deweloperów. Profesjonalna dokumentacja i doradztwo pozwala na racjonalne zarządzanie drzewostanem.
CZĘŚĆ OPISOWA
- nazwa gatunkowa drzew i krzewów – nazwa polska i łacińska
- obwód pnia, wysokość drzewa, szerokość korony
- ocena stanu sanitarnego (choroby, patologie, nieprawidłowości budowy, pokroju)
- dokumentacja fotograficzna
- skrócona charakterystyka otoczenia, opis warunków siedliskowych, krajobrazowych, występowanie gatunków chronionych fauny i flory, wytyczne co do dalszego postępowania względem planowanej inwestycji ze szczególnym naciskiem na ochronę drzewostan
- waloryzacja – w razie potrzeby
CZĘŚĆ GRAFICZNA
- lokalizacja drzew i krzewów na mapie zasadniczej wraz z oznaczeniem numeru inwentaryzacyjnego odpowiadającego zestawieniu tabelarycznemu,
- dodatkowo waloryzacja (wytypowanie egzemplarzy do zachowania, usunięcia, przesadzenia, kolizji z inwestycją, egzemplarzy cennych przyrodniczo i tych zagrażających bezpieczeństwu)
WAŻNE : Szczegółową inwentaryzację dendrologiczną wykonujemy na aktualnej mapie zasadniczej, którą należy nam dostarczyć przed rozpoczęciem prac.
Cena ustalana jest indywidualnie.
Wykonujemy również operaty dendrologiczne, gospodarkę drzewostanem, waloryzacje

Inwentaryzacje dendrologiczne
Inwentaryzacje dendrologiczne to istotny etap analizy dendroflory zastanego terenu pod przyszłe przestrzenie publiczne. Dzięki inwentaryzacji można uniknąć niepotrzebnego usuwania drzew, zadbać o odpowiednią ochronę drzew na placu budowy i zachować naturalny charakter miejsca.
Inwentaryzacje pomagają w ocenie stanu drzew.
To kluczowy etap, by stworzyć przyjazne , harmonijne, zrównoważone otoczenie!